A Southwest Airlines Boeing 737-800, registration N8315C performing flight WN-3278 from Orlando,FL to Albany,NY (USA), was cleared for takeoff from Orlando's runway 17R at about 09:30L (13:30Z) but aligned with the parallel taxiway H and began their takeoff roll. Tower cancelled their takeoff clearance, the crew rejected takeoff and returned to the apron.
A replacement Boeing 737-8 MAX registration N8802Q reached Albany with a delay of about 3:20 hours.
The FAA reported: "An air traffic controller at Orlando International Airport canceled the takeoff clearance for Southwest Airlines Flight 3278 around 9:30 a.m. local time on Thursday, March 20, after the aircraft began its takeoff roll on a taxiway. The taxiway runs parallel to the runway. The flight was headed to Albany International Airport in New York. No other aircraft were involved. The FAA is investigating."
The occurrence aircraft returned to service about 4 hours after the rejected takeoff.
On Oct 15th 2025 the NTSB reported they have opened a class 4 investigation into the occurrence, a preliminary report is not to be published, but a final report will be released at the conclusion of the investigation.
Metars:
KMCO 201453Z 22010KT 10SM BKN250 23/08 A3004 RMK AO2 SLP172 T02330083 50011=
KMCO 201353Z 23008KT 10SM FEW015 SCT250 21/08 A3005 RMK AO2 SLP172 FU FEW015 T02060083=
KMCO 201253Z 23006KT 10SM SCT250 16/12 A3003 RMK AO2 SLP166 T01610117=
KMCO 201153Z 21003KT 10SM FEW250 12/12 A3001 RMK AO2 SLP161 T01220117 10144 20106 53004=
KMCO 201053Z 19004KT 10SM CLR 12/11 A3000 RMK AO2 SLP158 T01170111 $=
KMCO 200953Z 20005KT 10SM CLR 11/11 A3000 RMK AO2 SLP158 T01110106 $=
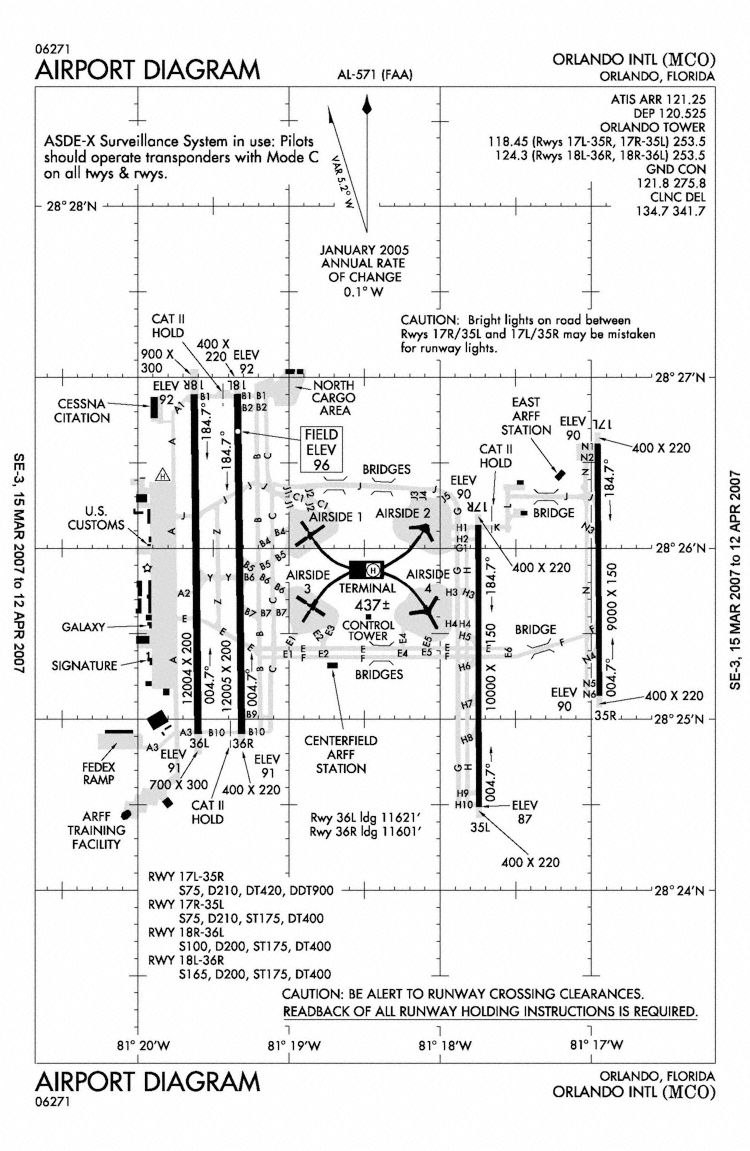
Aerodrome Chart (Graphics: FAA):

A replacement Boeing 737-8 MAX registration N8802Q reached Albany with a delay of about 3:20 hours.
The FAA reported: "An air traffic controller at Orlando International Airport canceled the takeoff clearance for Southwest Airlines Flight 3278 around 9:30 a.m. local time on Thursday, March 20, after the aircraft began its takeoff roll on a taxiway. The taxiway runs parallel to the runway. The flight was headed to Albany International Airport in New York. No other aircraft were involved. The FAA is investigating."
The occurrence aircraft returned to service about 4 hours after the rejected takeoff.
On Oct 15th 2025 the NTSB reported they have opened a class 4 investigation into the occurrence, a preliminary report is not to be published, but a final report will be released at the conclusion of the investigation.
Metars:
KMCO 201453Z 22010KT 10SM BKN250 23/08 A3004 RMK AO2 SLP172 T02330083 50011=
KMCO 201353Z 23008KT 10SM FEW015 SCT250 21/08 A3005 RMK AO2 SLP172 FU FEW015 T02060083=
KMCO 201253Z 23006KT 10SM SCT250 16/12 A3003 RMK AO2 SLP166 T01610117=
KMCO 201153Z 21003KT 10SM FEW250 12/12 A3001 RMK AO2 SLP161 T01220117 10144 20106 53004=
KMCO 201053Z 19004KT 10SM CLR 12/11 A3000 RMK AO2 SLP158 T01170111 $=
KMCO 200953Z 20005KT 10SM CLR 11/11 A3000 RMK AO2 SLP158 T01110106 $=
Aerodrome Chart (Graphics: FAA):

This article is published under license. Article Source
Published Date